

Sale il bilancio delle vittime per il passaggio su Haiti dell'uragano Matthew, 842 i morti accertati. Ma le autorità temono che il bilancio dei morti possa aumentare. Negli Usa l'emergenza resta alta, anche se la forza del vento s'indebolisce. Nuovo appello di Obama che si è rivolto ai residenti delle zone degli Stati Uniti interessate dall'uragano e ha quasi implorato loro di evacuare dove richiesto dalle autorità. Dal Papa dolore e vicinanza nella preghiera a quanti sono stati colpiti. Per l'Unicef più di 350.000 persone hanno urgente bisogno di assistenza umanitaria.


Sale il bilancio delle vittime per il passaggio su Haiti dell'uragano Matthew, 842 i morti accertati. Ma le autorità temono che il bilancio dei morti possa aumentare. Negli Usa l'emergenza resta alta, anche se la forza del vento s'indebolisce. Nuovo appello di Obama che si è rivolto ai residenti delle zone degli Stati Uniti interessate dall'uragano e ha quasi implorato loro di evacuare dove richiesto dalle autorità. Dal Papa dolore e vicinanza nella preghiera a quanti sono stati colpiti. Per l'Unicef più di 350.000 persone hanno urgente bisogno di assistenza umanitaria.


Sale il bilancio delle vittime per il passaggio su Haiti dell'uragano Matthew, 842 i morti accertati. Ma le autorità temono che il bilancio dei morti possa aumentare. Negli Usa l'emergenza resta alta, anche se la forza del vento s'indebolisce. Nuovo appello di Obama che si è rivolto ai residenti delle zone degli Stati Uniti interessate dall'uragano e ha quasi implorato loro di evacuare dove richiesto dalle autorità. Dal Papa dolore e vicinanza nella preghiera a quanti sono stati colpiti. Per l'Unicef più di 350.000 persone hanno urgente bisogno di assistenza umanitaria.


Sale il bilancio delle vittime per il passaggio su Haiti dell'uragano Matthew, 842 i morti accertati. Ma le autorità temono che il bilancio dei morti possa aumentare. Negli Usa l'emergenza resta alta, anche se la forza del vento s'indebolisce. Nuovo appello di Obama che si è rivolto ai residenti delle zone degli Stati Uniti interessate dall'uragano e ha quasi implorato loro di evacuare dove richiesto dalle autorità. Dal Papa dolore e vicinanza nella preghiera a quanti sono stati colpiti. Per l'Unicef più di 350.000 persone hanno urgente bisogno di assistenza umanitaria.


Sale il bilancio delle vittime per il passaggio su Haiti dell'uragano Matthew, 842 i morti accertati. Ma le autorità temono che il bilancio dei morti possa aumentare. Negli Usa l'emergenza resta alta, anche se la forza del vento s'indebolisce. Nuovo appello di Obama che si è rivolto ai residenti delle zone degli Stati Uniti interessate dall'uragano e ha quasi implorato loro di evacuare dove richiesto dalle autorità. Dal Papa dolore e vicinanza nella preghiera a quanti sono stati colpiti. Per l'Unicef più di 350.000 persone hanno urgente bisogno di assistenza umanitaria.


Sale il bilancio delle vittime per il passaggio su Haiti dell'uragano Matthew, 842 i morti accertati. Ma le autorità temono che il bilancio dei morti possa aumentare. Negli Usa l'emergenza resta alta, anche se la forza del vento s'indebolisce. Nuovo appello di Obama che si è rivolto ai residenti delle zone degli Stati Uniti interessate dall'uragano e ha quasi implorato loro di evacuare dove richiesto dalle autorità. Dal Papa dolore e vicinanza nella preghiera a quanti sono stati colpiti. Per l'Unicef più di 350.000 persone hanno urgente bisogno di assistenza umanitaria.


Sale il bilancio delle vittime per il passaggio su Haiti dell'uragano Matthew, 842 i morti accertati. Ma le autorità temono che il bilancio dei morti possa aumentare. Negli Usa l'emergenza resta alta, anche se la forza del vento s'indebolisce. Nuovo appello di Obama che si è rivolto ai residenti delle zone degli Stati Uniti interessate dall'uragano e ha quasi implorato loro di evacuare dove richiesto dalle autorità. Dal Papa dolore e vicinanza nella preghiera a quanti sono stati colpiti. Per l'Unicef più di 350.000 persone hanno urgente bisogno di assistenza umanitaria.


Sale il bilancio delle vittime per il passaggio su Haiti dell'uragano Matthew, 842 i morti accertati. Ma le autorità temono che il bilancio dei morti possa aumentare. Negli Usa l'emergenza resta alta, anche se la forza del vento s'indebolisce. Nuovo appello di Obama che si è rivolto ai residenti delle zone degli Stati Uniti interessate dall'uragano e ha quasi implorato loro di evacuare dove richiesto dalle autorità. Dal Papa dolore e vicinanza nella preghiera a quanti sono stati colpiti. Per l'Unicef più di 350.000 persone hanno urgente bisogno di assistenza umanitaria.


Sale il bilancio delle vittime per il passaggio su Haiti dell'uragano Matthew, 842 i morti accertati. Ma le autorità temono che il bilancio dei morti possa aumentare. Negli Usa l'emergenza resta alta, anche se la forza del vento s'indebolisce. Nuovo appello di Obama che si è rivolto ai residenti delle zone degli Stati Uniti interessate dall'uragano e ha quasi implorato loro di evacuare dove richiesto dalle autorità. Dal Papa dolore e vicinanza nella preghiera a quanti sono stati colpiti. Per l'Unicef più di 350.000 persone hanno urgente bisogno di assistenza umanitaria.


Sale il bilancio delle vittime per il passaggio su Haiti dell'uragano Matthew, 842 i morti accertati. Ma le autorità temono che il bilancio dei morti possa aumentare. Negli Usa l'emergenza resta alta, anche se la forza del vento s'indebolisce. Nuovo appello di Obama che si è rivolto ai residenti delle zone degli Stati Uniti interessate dall'uragano e ha quasi implorato loro di evacuare dove richiesto dalle autorità. Dal Papa dolore e vicinanza nella preghiera a quanti sono stati colpiti. Per l'Unicef più di 350.000 persone hanno urgente bisogno di assistenza umanitaria.


Sale il bilancio delle vittime per il passaggio su Haiti dell'uragano Matthew, 842 i morti accertati. Ma le autorità temono che il bilancio dei morti possa aumentare. Negli Usa l'emergenza resta alta, anche se la forza del vento s'indebolisce. Nuovo appello di Obama che si è rivolto ai residenti delle zone degli Stati Uniti interessate dall'uragano e ha quasi implorato loro di evacuare dove richiesto dalle autorità. Dal Papa dolore e vicinanza nella preghiera a quanti sono stati colpiti. Per l'Unicef più di 350.000 persone hanno urgente bisogno di assistenza umanitaria.


Sale il bilancio delle vittime per il passaggio su Haiti dell'uragano Matthew, 842 i morti accertati. Ma le autorità temono che il bilancio dei morti possa aumentare. Negli Usa l'emergenza resta alta, anche se la forza del vento s'indebolisce. Nuovo appello di Obama che si è rivolto ai residenti delle zone degli Stati Uniti interessate dall'uragano e ha quasi implorato loro di evacuare dove richiesto dalle autorità. Dal Papa dolore e vicinanza nella preghiera a quanti sono stati colpiti. Per l'Unicef più di 350.000 persone hanno urgente bisogno di assistenza umanitaria.


Sale il bilancio delle vittime per il passaggio su Haiti dell'uragano Matthew, 842 i morti accertati. Ma le autorità temono che il bilancio dei morti possa aumentare. Negli Usa l'emergenza resta alta, anche se la forza del vento s'indebolisce. Nuovo appello di Obama che si è rivolto ai residenti delle zone degli Stati Uniti interessate dall'uragano e ha quasi implorato loro di evacuare dove richiesto dalle autorità. Dal Papa dolore e vicinanza nella preghiera a quanti sono stati colpiti. Per l'Unicef più di 350.000 persone hanno urgente bisogno di assistenza umanitaria.


Sale il bilancio delle vittime per il passaggio su Haiti dell'uragano Matthew, 842 i morti accertati. Ma le autorità temono che il bilancio dei morti possa aumentare. Negli Usa l'emergenza resta alta, anche se la forza del vento s'indebolisce. Nuovo appello di Obama che si è rivolto ai residenti delle zone degli Stati Uniti interessate dall'uragano e ha quasi implorato loro di evacuare dove richiesto dalle autorità. Dal Papa dolore e vicinanza nella preghiera a quanti sono stati colpiti. Per l'Unicef più di 350.000 persone hanno urgente bisogno di assistenza umanitaria.


Sale il bilancio delle vittime per il passaggio su Haiti dell'uragano Matthew, 842 i morti accertati. Ma le autorità temono che il bilancio dei morti possa aumentare. Negli Usa l'emergenza resta alta, anche se la forza del vento s'indebolisce. Nuovo appello di Obama che si è rivolto ai residenti delle zone degli Stati Uniti interessate dall'uragano e ha quasi implorato loro di evacuare dove richiesto dalle autorità. Dal Papa dolore e vicinanza nella preghiera a quanti sono stati colpiti. Per l'Unicef più di 350.000 persone hanno urgente bisogno di assistenza umanitaria.


Sale il bilancio delle vittime per il passaggio su Haiti dell'uragano Matthew, 842 i morti accertati. Ma le autorità temono che il bilancio dei morti possa aumentare. Negli Usa l'emergenza resta alta, anche se la forza del vento s'indebolisce. Nuovo appello di Obama che si è rivolto ai residenti delle zone degli Stati Uniti interessate dall'uragano e ha quasi implorato loro di evacuare dove richiesto dalle autorità. Dal Papa dolore e vicinanza nella preghiera a quanti sono stati colpiti. Per l'Unicef più di 350.000 persone hanno urgente bisogno di assistenza umanitaria.


Sale il bilancio delle vittime per il passaggio su Haiti dell'uragano Matthew, 842 i morti accertati. Ma le autorità temono che il bilancio dei morti possa aumentare. Negli Usa l'emergenza resta alta, anche se la forza del vento s'indebolisce. Nuovo appello di Obama che si è rivolto ai residenti delle zone degli Stati Uniti interessate dall'uragano e ha quasi implorato loro di evacuare dove richiesto dalle autorità. Dal Papa dolore e vicinanza nella preghiera a quanti sono stati colpiti. Per l'Unicef più di 350.000 persone hanno urgente bisogno di assistenza umanitaria.


Sale il bilancio delle vittime per il passaggio su Haiti dell'uragano Matthew, 842 i morti accertati. Ma le autorità temono che il bilancio dei morti possa aumentare. Negli Usa l'emergenza resta alta, anche se la forza del vento s'indebolisce. Nuovo appello di Obama che si è rivolto ai residenti delle zone degli Stati Uniti interessate dall'uragano e ha quasi implorato loro di evacuare dove richiesto dalle autorità. Dal Papa dolore e vicinanza nella preghiera a quanti sono stati colpiti. Per l'Unicef più di 350.000 persone hanno urgente bisogno di assistenza umanitaria.


Sale il bilancio delle vittime per il passaggio su Haiti dell'uragano Matthew, 842 i morti accertati. Ma le autorità temono che il bilancio dei morti possa aumentare. Negli Usa l'emergenza resta alta, anche se la forza del vento s'indebolisce. Nuovo appello di Obama che si è rivolto ai residenti delle zone degli Stati Uniti interessate dall'uragano e ha quasi implorato loro di evacuare dove richiesto dalle autorità. Dal Papa dolore e vicinanza nella preghiera a quanti sono stati colpiti. Per l'Unicef più di 350.000 persone hanno urgente bisogno di assistenza umanitaria.


Sale il bilancio delle vittime per il passaggio su Haiti dell'uragano Matthew, 842 i morti accertati. Ma le autorità temono che il bilancio dei morti possa aumentare. Negli Usa l'emergenza resta alta, anche se la forza del vento s'indebolisce. Nuovo appello di Obama che si è rivolto ai residenti delle zone degli Stati Uniti interessate dall'uragano e ha quasi implorato loro di evacuare dove richiesto dalle autorità. Dal Papa dolore e vicinanza nella preghiera a quanti sono stati colpiti. Per l'Unicef più di 350.000 persone hanno urgente bisogno di assistenza umanitaria.


Sale il bilancio delle vittime per il passaggio su Haiti dell'uragano Matthew, 842 i morti accertati. Ma le autorità temono che il bilancio dei morti possa aumentare. Negli Usa l'emergenza resta alta, anche se la forza del vento s'indebolisce. Nuovo appello di Obama che si è rivolto ai residenti delle zone degli Stati Uniti interessate dall'uragano e ha quasi implorato loro di evacuare dove richiesto dalle autorità. Dal Papa dolore e vicinanza nella preghiera a quanti sono stati colpiti. Per l'Unicef più di 350.000 persone hanno urgente bisogno di assistenza umanitaria.


Sale il bilancio delle vittime per il passaggio su Haiti dell'uragano Matthew, 842 i morti accertati. Ma le autorità temono che il bilancio dei morti possa aumentare. Negli Usa l'emergenza resta alta, anche se la forza del vento s'indebolisce. Nuovo appello di Obama che si è rivolto ai residenti delle zone degli Stati Uniti interessate dall'uragano e ha quasi implorato loro di evacuare dove richiesto dalle autorità. Dal Papa dolore e vicinanza nella preghiera a quanti sono stati colpiti. Per l'Unicef più di 350.000 persone hanno urgente bisogno di assistenza umanitaria.


Sale il bilancio delle vittime per il passaggio su Haiti dell'uragano Matthew, 842 i morti accertati. Ma le autorità temono che il bilancio dei morti possa aumentare. Negli Usa l'emergenza resta alta, anche se la forza del vento s'indebolisce. Nuovo appello di Obama che si è rivolto ai residenti delle zone degli Stati Uniti interessate dall'uragano e ha quasi implorato loro di evacuare dove richiesto dalle autorità. Dal Papa dolore e vicinanza nella preghiera a quanti sono stati colpiti. Per l'Unicef più di 350.000 persone hanno urgente bisogno di assistenza umanitaria.


Sale il bilancio delle vittime per il passaggio su Haiti dell'uragano Matthew, 842 i morti accertati. Ma le autorità temono che il bilancio dei morti possa aumentare. Negli Usa l'emergenza resta alta, anche se la forza del vento s'indebolisce. Nuovo appello di Obama che si è rivolto ai residenti delle zone degli Stati Uniti interessate dall'uragano e ha quasi implorato loro di evacuare dove richiesto dalle autorità. Dal Papa dolore e vicinanza nella preghiera a quanti sono stati colpiti. Per l'Unicef più di 350.000 persone hanno urgente bisogno di assistenza umanitaria.


Sale il bilancio delle vittime per il passaggio su Haiti dell'uragano Matthew, 842 i morti accertati. Ma le autorità temono che il bilancio dei morti possa aumentare. Negli Usa l'emergenza resta alta, anche se la forza del vento s'indebolisce. Nuovo appello di Obama che si è rivolto ai residenti delle zone degli Stati Uniti interessate dall'uragano e ha quasi implorato loro di evacuare dove richiesto dalle autorità. Dal Papa dolore e vicinanza nella preghiera a quanti sono stati colpiti. Per l'Unicef più di 350.000 persone hanno urgente bisogno di assistenza umanitaria.


Sale il bilancio delle vittime per il passaggio su Haiti dell'uragano Matthew, 842 i morti accertati. Ma le autorità temono che il bilancio dei morti possa aumentare. Negli Usa l'emergenza resta alta, anche se la forza del vento s'indebolisce. Nuovo appello di Obama che si è rivolto ai residenti delle zone degli Stati Uniti interessate dall'uragano e ha quasi implorato loro di evacuare dove richiesto dalle autorità. Dal Papa dolore e vicinanza nella preghiera a quanti sono stati colpiti. Per l'Unicef più di 350.000 persone hanno urgente bisogno di assistenza umanitaria.


Sale il bilancio delle vittime per il passaggio su Haiti dell'uragano Matthew, 842 i morti accertati. Ma le autorità temono che il bilancio dei morti possa aumentare. Negli Usa l'emergenza resta alta, anche se la forza del vento s'indebolisce. Nuovo appello di Obama che si è rivolto ai residenti delle zone degli Stati Uniti interessate dall'uragano e ha quasi implorato loro di evacuare dove richiesto dalle autorità. Dal Papa dolore e vicinanza nella preghiera a quanti sono stati colpiti. Per l'Unicef più di 350.000 persone hanno urgente bisogno di assistenza umanitaria.


Sale il bilancio delle vittime per il passaggio su Haiti dell'uragano Matthew, 842 i morti accertati. Ma le autorità temono che il bilancio dei morti possa aumentare. Negli Usa l'emergenza resta alta, anche se la forza del vento s'indebolisce. Nuovo appello di Obama che si è rivolto ai residenti delle zone degli Stati Uniti interessate dall'uragano e ha quasi implorato loro di evacuare dove richiesto dalle autorità. Dal Papa dolore e vicinanza nella preghiera a quanti sono stati colpiti. Per l'Unicef più di 350.000 persone hanno urgente bisogno di assistenza umanitaria.


Sale il bilancio delle vittime per il passaggio su Haiti dell'uragano Matthew, 842 i morti accertati. Ma le autorità temono che il bilancio dei morti possa aumentare. Negli Usa l'emergenza resta alta, anche se la forza del vento s'indebolisce. Nuovo appello di Obama che si è rivolto ai residenti delle zone degli Stati Uniti interessate dall'uragano e ha quasi implorato loro di evacuare dove richiesto dalle autorità. Dal Papa dolore e vicinanza nella preghiera a quanti sono stati colpiti. Per l'Unicef più di 350.000 persone hanno urgente bisogno di assistenza umanitaria.


Sale il bilancio delle vittime per il passaggio su Haiti dell'uragano Matthew, 842 i morti accertati. Ma le autorità temono che il bilancio dei morti possa aumentare. Negli Usa l'emergenza resta alta, anche se la forza del vento s'indebolisce. Nuovo appello di Obama che si è rivolto ai residenti delle zone degli Stati Uniti interessate dall'uragano e ha quasi implorato loro di evacuare dove richiesto dalle autorità. Dal Papa dolore e vicinanza nella preghiera a quanti sono stati colpiti. Per l'Unicef più di 350.000 persone hanno urgente bisogno di assistenza umanitaria.


Sale il bilancio delle vittime per il passaggio su Haiti dell'uragano Matthew, 842 i morti accertati. Ma le autorità temono che il bilancio dei morti possa aumentare. Negli Usa l'emergenza resta alta, anche se la forza del vento s'indebolisce. Nuovo appello di Obama che si è rivolto ai residenti delle zone degli Stati Uniti interessate dall'uragano e ha quasi implorato loro di evacuare dove richiesto dalle autorità. Dal Papa dolore e vicinanza nella preghiera a quanti sono stati colpiti. Per l'Unicef più di 350.000 persone hanno urgente bisogno di assistenza umanitaria.


Sale il bilancio delle vittime per il passaggio su Haiti dell'uragano Matthew, 842 i morti accertati. Ma le autorità temono che il bilancio dei morti possa aumentare. Negli Usa l'emergenza resta alta, anche se la forza del vento s'indebolisce. Nuovo appello di Obama che si è rivolto ai residenti delle zone degli Stati Uniti interessate dall'uragano e ha quasi implorato loro di evacuare dove richiesto dalle autorità. Dal Papa dolore e vicinanza nella preghiera a quanti sono stati colpiti. Per l'Unicef più di 350.000 persone hanno urgente bisogno di assistenza umanitaria.


Sale il bilancio delle vittime per il passaggio su Haiti dell'uragano Matthew, 842 i morti accertati. Ma le autorità temono che il bilancio dei morti possa aumentare. Negli Usa l'emergenza resta alta, anche se la forza del vento s'indebolisce. Nuovo appello di Obama che si è rivolto ai residenti delle zone degli Stati Uniti interessate dall'uragano e ha quasi implorato loro di evacuare dove richiesto dalle autorità. Dal Papa dolore e vicinanza nella preghiera a quanti sono stati colpiti. Per l'Unicef più di 350.000 persone hanno urgente bisogno di assistenza umanitaria.
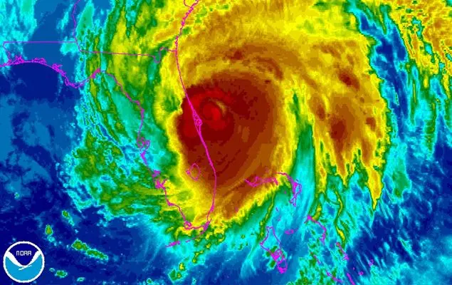
Da Haiti alla Florida, la furia di Matthew continua a distruggere
L'incubo di Matthew non è finito. Dopo essersi abbattuto sulla parte orientale di Cuba, con venti che sono arrivato a toccare i 250 km orari, il violento uragano - il più potente che abbia colpito la zona caraibica dal 2007 - ha raggiunto le Bahamas e la Florida, pur mantenendosi a distanza dalla costa. A forte rischio sono anche Sud Carolina e Georgia. Lo stesso presidente Usa Barack Obama aveva lanciato l'allarme sull'estrema pericolosità del ciclone esortando i cittadini degli Stati interessati a lasciare le loro case e mettersi in salvo perché è in gioco la loro vita. Matthew ha raggiunto gli Stati Uniti con una potenza classificata a livello 3 (su una scala il cui massimo è 5) e venti superiori a 100 km orari. I cittadini della Florida, preparati da giorni all'uragano, hanno svuotato i supermercati per fare scorte di cibo e beni di prima necessità. Poco prima dell'arrivo del ciclone, quando già la pioggia e i venti si abbattevano sulla costa, molti non hanno resistito alla tentazione di fare surf nel mare in burrasca e di scattare foto e selfie sulla spiaggia (come si vede dalle foto Reuters), nonostante la richiesta di evacuazione lanciata dal governatore Rick Scott. Al momento 600mila abitazioni sono rimaste senza energia elettrica. Ma Scott invita a non abbassare la guardia, perché il rischio di inondazioni è ancora molto forte. Matthew ha devastato Haiti, uno dei Paesi più poveri del mondo: il bilancio delle vittime, in evoluzione, è arrivato a più di 570 morti accertati. Nella cittadina di Jeremie l'80% degli edifici sono stati distrutti, così come 30mila case nel Sud del Paese. Papa Francesco ha espresso «dolore» e «vicinanza nella preghiera» alla popolazione colpita in un telegramma firmato dal segretario di Stato vaticano, il cardinale Parolin, e inviato al presidente della Conferenza episcopale haitiana, il cardinale Langlois. La Croce rossa ha lanciato un appello: servono con urgenza 6,2 milioni di euro da destinare ai soccorsi e agli aiuti umanitari per il popolo di Haiti.
